
Los ciclones tropicales son uno de los fenómenos meteorológicos más impactantes de la naturaleza, capaces de modificar paisajes enteros y afectar poblaciones enteras. Su estudio y clasificación han permitido conocer cómo surgen, dónde se desarrollan y de qué forma se diferencian según la región del planeta donde ocurren.
Un ciclón tropical es, según la Administración Nacional Oceánica y Atmosférica/Laboratorio Oceanográfico y Meteorológico del Atlántico (NOAA/AOML), el laboratorio estadounidense de referencia en monitoreo oceánico, un sistema de baja presión que se forma sobre aguas tropicales o subtropicales, se caracteriza por presentar convección organizada y un patrón de vientos cerrados.
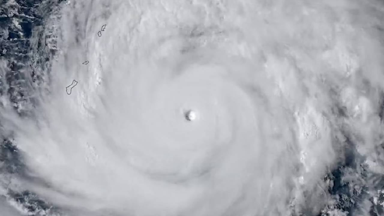
Estos sistemas obtienen su energía del calor liberado por la condensación de la humedad del aire y muestran una estructura simétrica, con un núcleo cálido y un ojo bien definido en los casos de mayor intensidad.

La NOAA/AOML detalla que un ciclón tropical pasa por varias etapas de desarrollo: comienza como una perturbación tropical, luego puede convertirse en depresión tropical, posteriormente en tormenta tropical y, finalmente, al superar los 33 metros por segundo de viento sostenido, en huracán, tifón o ciclón intenso, según la región.
La distinción entre estos términos es exclusivamente geográfica y no implica diferencias en la estructura o en el comportamiento físico del fenómeno. Cuando un ciclón tropical alcanza vientos sostenidos de al menos 33 metros por segundo, recibe el nombre de huracán en el Atlántico Norte, noreste del Pacífico y sur del Pacífico al este de 160°E.
Si se origina en el noroeste del Pacífico, se denomina tifón, mientras que en el océano Índico y el suroeste del Pacífico se emplean denominaciones como ciclón tropical severo o ciclón intenso. Así, todo huracán es un ciclón tropical, pero no todo ciclón tropical es necesariamente un huracán: la diferencia radica únicamente en el lugar donde se desarrolla el sistema.

El uso de distintos nombres para un mismo tipo de fenómeno responde a convenciones internacionales establecidas por organismos como la Organización Meteorológica Mundial, entidad coordinadora de referencia global.
La asignación de un nombre regional facilita la identificación de la zona de origen y la comunicación entre meteorólogos y autoridades locales. Según la NOAA/AOML, cada región cuenta con listas predeterminadas de nombres, y cuando un ciclón tropical causa daños graves, ese nombre puede ser retirado permanentemente para evitar confusiones en el futuro.
Las temporadas de ciclones varían según la cuenca oceánica. En el Atlántico Norte, la temporada oficial va del 1 de junio al 30 de noviembre, mientras que en el noreste del Pacífico comienza el 15 de mayo y también se extiende hasta el 30 de noviembre. Los tifones en el noroeste del Pacífico suelen ser más frecuentes entre finales de junio y diciembre.

En el norte del océano Índico, la actividad ciclónica se concentra entre abril y diciembre. La NOAA/AOML señala que la formación de ciclones tropicales requiere condiciones específicas: aguas cálidas por encima de 26 °C, alta humedad y baja cizalladura vertical del viento.
Existen ejemplos de ciclones tropicales de intensidad extrema por la magnitud de sus vientos y su capacidad destructiva, como el huracán Patricia, que en 2015 superó los 250 km/h (155 mph) en el Pacífico oriental, o el tifón Nancy, con ráfagas de hasta 345 km/h (214 mph) en 1961 en el Pacífico occidental.
En el Atlántico, nombres como Katrina, Irma o María han sido retirados debido a su impacto devastador. La NOAA/AOML mantiene un registro detallado de la cantidad de ciclones por temporada y de los nombres utilizados, destacando aquellos eventos que han marcado récords por su intensidad o daños causados.
La intensidad de un ciclón tropical depende de factores como la temperatura superficial del mar, la humedad ambiental, la baja cizalladura vertical del viento y la ausencia de presión atmosférica elevada en las capas superiores.
Además, la NOAA/AOML identifica que fenómenos como El Niño-Oscilación del Sur pueden influir directamente en la actividad ciclónica, alterando el comportamiento estacional y la energía disponible para el desarrollo de tormentas graves.
El monitoreo científico señala que el calentamiento global y el aumento de la temperatura de los océanos tienen el potencial de incrementar la proporción de ciclones tropicales de gran intensidad.
Según la NOAA/AOML, el laboratorio estadounidense de referencia en monitoreo oceánico, aunque la cantidad total de ciclones varía de un año a otro, existe una tendencia a observar tormentas más intensas en un contexto de cambio climático, lo que exige una vigilancia constante y el perfeccionamiento de los modelos predictivos.
El presidente de Estados Unidos y altos funcionarios de su administración resultaron ilesos
El Nuevo Día
El problema del progreso sin control En el mundo del fitness moderno, uno de los mayores errores no es la falta de esfuerzo, sino la falta de control sobre el proceso. Muchas personas entrenan intensamente, siguen dietas estrictas y buscan resultados rápidos sin entender cómo responde realmente el cuerpo.
Lado.mx
La compañía presenta una nueva solución diseñada para mejorar la ergonomía en entornos de trabajo flexibles, integrando funcionalidad, diseño compacto y conectividad en un solo dispositivo. Colebrook Bosson Saunders ha anunciado el lanzamiento de LANA, un soporte ergonómico para laptops concebido para responder a las nuevas dinámicas del tr
Lado.mx
El Servicio de Administración Tributaria (SAT), la principal autoridad tributaria de México, obtuvo facultades para supervisar en tiempo real las operaciones de casinos, tragamonedas, sorteos y apuestas deportivas.
Lado.mx
Las caras de la crisis del PAN Guanajuato. En la tormenta política que ha desatado Alejandra Gutiérrez Campos con su renuncia al PAN
Periódico Correo
Los hijos de la austeridad. La estancia del hijo de Ebrard en la embajada de Reino Unido se suma a los episodios de incongruencia del ‘partido que ve por los pobres’
Periódico Correo
En Yvelines, los amantes del aire libre y de la naturaleza también tienen la oportunidad de descubrir todo un patrimonio botánico. He aquí algunas ideas de paseos imperdibles por los parques y jardines de Yvelines 78.
Sortiraparis
Erika Méndez Durante el primer bimestre de 2026, más de 18 millones utilizaron la RedThe post En el primer bimestre de 2026, más de 18 millones de usaron RUTA appeared first on Desde Puebla.
Desde Puebla
La mejora se dio tanto en la medición mensual como en la comparación interanual. Algunos sectores muestran señales de recuperación, aunque el trimestre cerró con números negativos
Infobae
Durante los últimos días, se ha hecho viral una situación un tanto particular. Dos Vtubers japoneses, BakuBaku y Kanade Ruka, han sido despedidos por su agencia al descubrir que ambos mantenían una relación sentimental. Prohibido por las normas de la misma, el pasado 20 de abril R
3d Juegos
Mas Cipolleti
El actual campeón europeo del Arsenal comenzó a defender el título al derrotar al oponente en las semifinales el año pasado, Lyonnes en el emocionante encuentro en el norte de Londres. El equipo de Renée Slegers tomó la delantera gracias al trabajo de Alessia Russo temprano contra el mejor equipo, pero dos goles en siete …
Mas Cipolleti
Emily Keogh7 de octubre de 2025, 18:55 Cerca Emily Keogh, radicada en Londres, es reportera de fútbol femenino para ESPN y se especializa en WSL y UWCL. BOREHAMWOOD, Inglaterra. CV Lyonnes frente melchie dumornay muestra Arsenal exactamente qué sucede cuando orquestas tu propia derrota contra un equipo desesperado por demostrar que sigue siendo u
Mas Cipolleti
Matthew Shifrin desarrolló un sistema de instrucciones de construcción accesibles, que permite a otras personas con baja visión
El Nuevo Día
El acuerdo posiciona a EssilorLuxottica como socio de Top Charoen, la mayor cadena de ópticas de Tailandia, que opera más de 2000 tiendas en el país. Los términos financieros de la transacción no se han hecho públicos.
Fashion Network
Hace varias semanas llegaba a Netflix JoJo"s Bizarre Adventure: Steel Ball Run, la séptima parte de la aclamada franquicia creada por Hirohiko Araki. El primer episodio fue todo un éxito y el público quiso más de esta adaptación, pero la comunicación de la compañía fue tan
Vida Extra
En México, el 23.3% de los cigarros que se consumen son ilegales. Tan solo en 2025 se vendieron 39,370 millones de estos productos, y de este total, 9,190 millones eran ilícitos, lo que se tradujo en una pérdida fiscal millonaria para nuestro país, que se coloca en el lugar número
Xataka México
James Bond, el agente secreto más famoso de la historia está de regreso. Y es que faltan pocos días para que se lleve a cabo el estreno de 007 First Light, que indudablemente está posicionado como uno de los juegos más esperados del 2026. Por supuesto, un título con esta envergad
Xataka México
Chevrolet ya arrancó la venta de Corvette 2026 en México. La gran novedad está en ZR1X, la versión más extrema de toda la historia del modelo. Esta variante usa sistema híbrido, entrega hasta 1,250 caballos de fuerza y promete acelerar de 0 a 100 en menos de 2 segundos. Con ese d
Xataka México
Últimas noticias
¿El cine falso? Cuando la IA te da la opción de manipular la naturaleza y asombrar
Contra toda probabilidad
Atentado con explosivos deja al menos 14 personas muertas al sur de Colombia
Ejecutan a balazos a hombre de 60 años en Nogales
Aljamain Sterling Wants Title Shot After Beating Youssef Zalal
Cleveland Browns Rebuilt Offense, Should Be Much Better in 2026
Red Sox Fire Alex Cora: What It Means for Boston’s Future
Buscan a Julio César ¿Lo has visto?
Alcalde deja a Valle Dorado sin servicios; en Ixhuatlancillo
Inicia la Semana Nacional de Vacunación 2026 con meta de 1.7 millones de dosis
Cómo luchar contra las ‘superratas mutantes’ de Madrid: así actúan los equipos de control de plagas
Día del Trabajador en Perú: Calcula así cuánto será el pago que percibirás en tu boleta de pago por laborar este 1 de mayo
San Diego Padres vs Arizona Diamondbacks: cuándo y dónde ver el segundo juego de la MLB Mexico City Series 2026
Día del Trabajador en Perú: ¿Cuándo y cómo se logró la jornada laboral diaria de 8 horas?
Retiro de CTS 2026: Estrategias claves para usar este beneficio y mejorar la salud financiera