¡De tiritas! Sorprende Lele Pons en pequeño bañador negro Show.news

¡De tiritas! Sorprende Lele Pons en pequeño bañador negro. Noticias en tiempo real 27 de Noviembre, 2020 18:21

La increíble youtuber venezolana, Lele Pons, compartió una serie de fotografías en su cuenta de Instagram que deleitaron la pupila de sus millones de seguidores


Compartir en:
   

 

 

Otorgan 12 mil 816 atenciones anuales en talleres de habilidades sociales para proteger del acoso escolar en Baja California. 03:13

A través de los (CECOSAMA) Centros Comunitarios de Salud Mental y Adicciones, las y los menores de edad pueden recibir talleres gratuitos de habilidades para evitar el bullying.

Uniradio Informa

Importadores de Estados Unidos adelantan pedidos y llenan almacenes con productos de China ante posible alza arancelaria de Trump.03:43

Los importadores estadounidenses han acelerado la llegada de mercancías procedentes de China antes del 1 de noviembre, anticipándose al posible incremento de aranceles del 100% anunciado por el presidente Donald Trump. La medida busca mitigar el impacto financiero que supondría la aplicación inmediata de los nuevos gravámenes. Pequeñas y medi

Canal 44

El contundente mensaje de Gustavo Alfaro para "Gatito" Fernández. 03:30

El seleccionador nacional estuvo en barrio Obrero para ver a Cerro Porteño y Nacional.La entrada El contundente mensaje de Gustavo Alfaro para 'Gatito' Fernández aparece primero en Versus.

Versus.com.py

Daily returns soar, 8HoursMining cloud mining opens a new era of wealth, rapid wealth appreciation.

As the cryptocurrency market continues to soar, the 8HoursMining cloud computing platform is ushering in a new era of wealth for global investors with its innovative technology and stable profit model. Users don’t need to purchase mining machines or perform complex operations.

Lado.mx

Cómo convertirse en distribuidor de terminales POS y crear un negocio rentable.

La digitalización de pagos ha transformado el panorama comercial. Con más de 5 millones de terminales activas en el país y un mercado que alcanzará los 2.73 mil millones de dólares para 2030, convertirse en distribuidor de terminales POS representa una oportunidad sólida para emprendedores. Este modelo permite generar ingresos recurrentes mie

Lado.mx

Karina Matsueva: cómo convertirse en la mujer que cura a los millonarios.

23 de octubre de 2025 Su nombre rara vez aparece en la prensa, pero con frecuencia figura en las agendas de quienes no tienen problemas con el dinero, sino con ellos mismos. Karina Matsueva es la persona a la que uno no acude por inspiración, sino por sanación.

Lado.mx

Las claves del Juego 3: Poder de Freeman y Ohtani, relevo de Klein y una decisión polémica.01:58

El poder de Freeman, el relevo de Will Klein, el desempeño de su majestad Ohtani y una decisión polémica en el conteo fueron las principales claves del Juego 3 de la Serie Mundial.

ESPNdeportes.com

‘Puedo seguir adelante’ Will Klein sobre su actuación de CLUTCH en la victoria de los Dodgers en el Juego 3 de la Serie Mundial. 02:10

Will Klein habló con Ken Rosenthal sobre su actuación clave como lanzador en la victoria de los Dodgers de Los Ángeles en el Juego 3 de la Serie Mundial en 18 entradas sobre los Azulejos de Toronto. Fuente

Mas Cipolleti

Coca-Cola FEMSA pospone su expansión logística en México por efectos del nuevo impuesto a bebidas azucaradas. 01:44

Ciudad de México.— Coca-Cola FEMSA, la mayor embotelladora de productos Coca-Cola en el mundo, anunció que detendrá la construcción de nuevos centros de distribución y ajustará su inversión de capital en 2026, debido a la expectativa de una disminución en sus volúmenes de venta tras el incremento al impuesto especial a bebidas azucaradas

Canal 44

Daily returns soar, 8HoursMining cloud mining opens a new era of wealth, rapid wealth appreciation. 08:17

As the cryptocurrency market continues to soar, the 8HoursMining cloud computing platform is ushering in a new era of wealth for global investors with its innovative technology and stable profit model. Users don’t need to purchase mining machines or perform complex operations.

Lado.mx

Cómo convertirse en distribuidor de terminales POS y crear un negocio rentable. 08:08

La digitalización de pagos ha transformado el panorama comercial. Con más de 5 millones de terminales activas en el país y un mercado que alcanzará los 2.73 mil millones de dólares para 2030, convertirse en distribuidor de terminales POS representa una oportunidad sólida para emprendedores. Este modelo permite generar ingresos recurrentes mie

Lado.mx

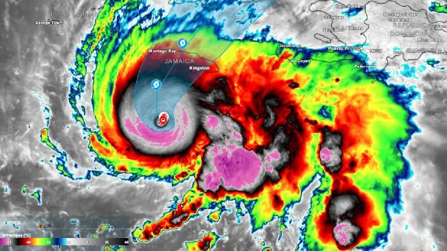
huracan melissa trayectoria jamaica

Melissa ya es un poderoso huracán de categoría 5: ¡Alerta! En su trayecto impactará Jamaica, Cuba y las Bahamas. 09:08

El poderoso huracán mayor Melissa, ya es un cat. 5 en el Mar Caribe. Su trayectoria lo acerca peligrosamente Jamaica, donde se esperan vientos huracanados de 260 km/h con rachas 315 km/h, con lluvias torrenciales y marejadas mortales. En la imagen satelital de canal infrarrojo, se aprecia la nubosidad convectiva asociada al giro de “Melissa”,

Meteored.mx

Huracán Melissa alcanza categoría 5 y pone en alerta a Jamaica. 11:56

Ricardo Lara / AFPEl huracán Melissa se fortaleció a categoría 5 y avanza muy lentamente hacia Jamaica, con condiciones “catastróficas y potencialmente mortales” por vientos destructivos, marejada ciclónica e inundaciones a partir de hoy y durante la madrugada del martes, informó el Centro Nacional de Huracanes (NHC) de Estados Unidos.Jam

Excelsior

Huracán Melissa alcanza categoría 5 y pone en alerta al Caribe. 18:19

Huracán Melissa alcanza categoría 5 y pone en alerta al Caribe El huracán Melissa alcanzó la categoría 5 con vientos superiores a 250 km/h y avanza sobre el Caribe, dejando bajo alerta a Jamaica, Cuba y las Bahamas por lluvias e inundaciones extremas m.alcantaraLun, 27/10/2025 - 18:00

Record

juegos ps plus noviembre 2025

Estos 7 juegos abandonarán el catálogo de PS Plus Extra y Premium en noviembre de 2025. 22 de Octubre, 2025 01:17

Sony actualiza el apartado "Última oportunidad para jugar" con siete títulos que desaparecerán del servicio el próximo mes, entre ellos Battlefield 5, Like a Dragon: Ishin y Digimon Survive.Tras las últimas incorporaciones al catálogo de PlayStation Plus Extra y Premium que se produjeron hace unas horas, entre las que se encuentran

Vandal

Esta aplaudida aventura será el juego principal de PlayStation Plus Essential en el mes de noviembre. 06:16

Stray, la aclamada aventura protagonizada por un gato en una ciudad ciberpunk, será el título principal de PS Plus Essential en noviembre para PS4 y PS5 a partir del 4 de noviembre.El conocido filtrador billbil-kun ha revelado en Dealabs que Stray será el juego destacado del mes de noviembre para los suscriptores de PlayStation Plus Essential, a

Vandal

En 9 días llegará a Disney+ en México la película que intentó rescatar el MCU, pero que ya nadie recuerda . 17:05

Faltan 9 días para que llegue a Disney+ una de las películas de superhéroes más ambiciosas de 2025. Se trata de un proyecto que prometió darnos la versión definitiva de sus protagonistas, pero que quedó a deber tanto a nivel narrativo como en taquilla. Llegó con altas expectati

Xataka México

Últimas noticias

El creador de Steal A Brainrot demanda a un clon de Fortnite por copiar su juego viral de Roblox

UNESCO reconoce a Colombia por su enfoque ético en inteligencia artificial

Comenzó con buen ritmo la cosecha de trigo 2025/26

Sobre cómo el Perú no trata a todas las pesquerías por igual

Windows 11 prueba el diagnóstico proactivo de la memoria para informar sobre fallos de reinicio inesperados

Mayores reclaman un pacto de Estado para garantizar un nuevo modelo de cuidados "justo, sostenible y universal"

Quejas por una miniatura con desnudos que YouTube recomendaba a cualquier búsqueda en la plataforma

ERC reclama mañana al Gobierno regular el uso del software espía y evitar casos como el de Pegasus

Alcalde de Níjar (Almería) pide a Interior más medidas frente a las "narcolanchas" en el parque natural

Ayuso avisa de "deriva bolivariana" de la Justicia con la nueva ley de enjuiciamiento:"Es un asalto y un enorme peligro"

El PSOE informa al Supremo de que retiró casi un millón de euros de su cuenta entre 2017 y 2024 para pagos en metálico

Defensor expresa dolor por el suicidio de una escolar en Sevilla: "Si la sociedad es agresiva se contagia en las aulas"

Compromís achaca el adelanto electoral en Extremadura a un movimiento del PP contra el Gobierno para "tapar a Mazón"

Feijóo pide a Sánchez seguir los pasos de Guardiola y convocar generales: "Es imprescindible recuperar la coherencia"

Un vocal de Belate dice que los técnicos dieron "por bueno" el informe de motivación del presidente de la mesa